Услуги
Покупателям
Организаторам торгов и Арбитражным управляющим
Банкам, Лизинговым компаниям, Бизнесу
Покупателям
Информационные услуги
Сопровождение участия в торгах
Техническая помощь участнику
Юридическая помощь
Осмотр, Хранение, Доставка
Финансовые услуги, Страхование, Оценка
Регистрационные действия
Ваш регион Москва?
Категория
Регион
Направление
Формирование цены
Статус должника / продавца
Электронная площадка
Сортировать по
Цена начальная, от:
Цена начальная, до:
Цена текущая, от:
Цена текущая, до:
Текущая скидка более:
%
Возможная скидка более:
%
Автоподбор
Отправить запрос
Подготовить заявку
Лот: 33-24-4401620
Москва
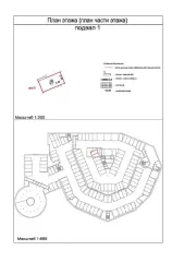
Машино-место 16.4 кв.м, Москва, ул. Селигерская, д. 26, стр. 3, подвал 1, помещение XXIII — машино-место 22. Кадастровый номер 77:09:0002026:16897.
Машино-место 16.4 кв.м, Москва, ул. Селигерская, д. 26, стр. 3, подвал 1, помещение XXIII — машино-место 22. Кадастровый номер 77:09:0002026:16897.
Машино-место 16.4 кв.м, Москва, ул. Селигерская, д. 26, стр. 3, подвал 1, помещение XXIII — машино-место 22. Кадастровый номер 77:09:0002026:16897.

Описание: Машино-место 16.4 кв.м, Москва, ул. Селигерская, д. 26, стр. 3, подвал 1, помещение XXIII — машино-место 22. Кадастровый номер 77:09:0002026:16897.

Начальная цена:
1 424 094
Цена может возрасти в ходе торгов
Шаг повышения:
71 204
/ 5%
До завершения:
24 д. 23 ч.
Электронная площадка
0
Направление Приватизация
Номер извещения 21000002970000000526_1
Продавец ГОСУДАРСТВЕННОЕ БЮДЖЕТНОЕ УЧРЕЖДЕНИЕ ГОРОДА МОСКВЫ "ЖИЛИЩНИК БЕСКУДНИКОВСКОГО РАЙОНА"
ИНН продавца 7713398637
Адрес г Москва, вн.тер.г. муниципальный округ Бескудниковский, ул Селигерская, дом 26 стр. 3

Дата начала приема заявок

18.03.2026 17:00

Дата окончания приема заявок

20.04.2026 12:00

Начало подачи предложений

30.04.2026 07:00

Подведение итогов торгов

30.04.2026 07:00

Дата публикации на площадке

24.03.2026 02:52

Организатор торгов

Результаты организатора
Реализовано лотов: 3 / 1%
Объявлено лотов: 460
Реализовано ₽: 3.9 млн
Объявлено ₽: 576.3 млн
Эффективность: 1%
Оценка

Электронная площадка

Место в рейтинге: 12
Организаторы 2 837
Продавцы 0,00
Участники 0,00
Москва
Результаты электронной площадки
Реализовано лотов: 21 947 / 17%
Объявлено лотов: 129 205
Реализовано ₽: 143.9 млрд
Объявлено ₽: 332.7 млрд
Эффективность: 43%
Оценка

Форма проведения торгов

Аукцион

Внесение задатка

Получатель: АО "Единая электронная торговая площадка"; ИНН: 7707704692; КПП: 772501001; Банк получателя: Филиал "Центральный" Банка ВТБ (ПАО) в г. Москва; БИК: 044525411; Расчетный счет: 40702810510050001273; Корреспондентский счет: 30101810145250000411; Задаток должен быть перечислен на счет оператора торговой площадки

Основания для проведения торгов

Департамент городского имущества города Москвы № 184852 от 06.11.2024

Форма собственности

Собственность субъектов РФ

Срок договора

Согласно лотовой документации