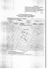
Предоставление земельного участка 2411 м² Предварительное согласование предоставления земельного участка Вид разрешённого использования земельного участка 2 2 Площадь земельного участка в соответствии с проектом межевания территории или со схемой расположения 2411
Земельный участок 1500 м². Предварительное согласование предоставления земельного участка. Вид разрешённого использования земельного участка: 2.2. Площадь земельного участка в соответствии с проектом межевания территории или со схемой расположения: 1500.
Земельный участок 1000 м². Предварительное согласование предоставления земельного участка. Вид разрешённого использования земельного участка: 2.2. Площадь земельного участка в соответствии с проектом межевания территории или со схемой расположения: 1000
Земельный участок 1800 м² с предварительным согласованием предоставления. Вид разрешённого использования: 2.2. Площадь по проекту межевания территории: 1800 м².
Земельный участок 1064 м² Предварительное согласование предоставления земельного участка Вид разрешённого использования земельного участка: 2.2 Площадь земельного участка в соответствии с проектом межевания территории или со схемой расположения: 1064
Земельный участок 359082 кв.м Республика Башкортостан, Чекмагушевский район, Юмашевский сельсовет, кадастровый номер 02:51:000000:6453, вид разрешённого использования 1.0
Земельный участок 511 кв.м Баймак право на заключение договора аренды земельного участка (размер ежегодной арендной платы) Земельный участок категории земли населенных пунктов, с кадастровым номером 02:73:010728:715, общей площадью 511 кв.м., расположенного по адресу: Республика Башкортостан, Баймакский район, город Баймак, улица Ленина, дом 77а, с видом разрешенного использования: объекты дорожного сервиса Вид разрешённого использования земельного участка: 15.0 Регистрационный номер ЕГРОКН: КУВИ-001/2025-192268402
Земельный участок 1656 кв.м Башкортостан право на заключение договора аренды земельного участка (размер ежегодной арендной платы) Категория земли населенных пунктов, кадастровый номер 02:06:180301:265, общая площадь 1656 кв.м. Адрес: Республика Башкортостан, Баймакский район, сельское поселение Мерясовский сельсовет, деревня Бахтигареево, улица Таналык, дом 33. Вид разрешенного использования: ведение садоводство. Вид разрешённого использования земельного участка: 13.2 Регистрационный номер ЕГРОКН: КУВИ-001/2025-114608114
Земельный участок 13464 кв.м склады Башкортостан право на заключение договора аренды земельного участка (размер ежегодной арендной платы) Земельный участок категории земли населенных пунктов, с кадастровым номером 02:06:240302:622, общей площадью 13464 кв.м., расположенного по адресу: Республика Башкортостан, Баймакский район, село 2-е Иткулово, улица Лесная, с видом разрешенного использования: склады Вид разрешённого использования земельного участка: 6.0 Кадастровый номер земельного участка: 02:06:240302:622 Площадь земельного участка: 13464 Регистрационный номер ЕГРОКН: КУВИ-001/2025-135264917
Земельный участок 660 кв. м в Башкортостане с кадастровым номером 02:56:050109:7486. Участок из категории земель населенных пунктов, расположенный по адресу: Российская Федерация, Республика Башкортостан, г. Стерлитамак, площадью 660 кв. м, с разрешенным использованием – для индивидуального жилищного строительства. Вид разрешённого использования земельного участка: 2.0.
Земельный участок 733 кв. м. Республика Башкортостан, г. Стерлитамак, с кадастровым номером 02:56:050109:7487, из категории земель населенных пунктов, площадью 733 кв. м., с разрешенным использованием – для индивидуального жилищного строительства. Вид разрешённого использования земельного участка: 2.0
Земельный участок 1441 кв.м Республика Башкортостан, Бакалинский район, Бакалинский с/с, с. Бакалы, ул. Пушкина, с условным кадастровым номером 02:07:010245:ЗУ1, из земель населенных пунктов с видом разрешенного использования: для индивидуального жилищного строительства. Вид разрешённого использования земельного участка: 2.0 Площадь земельного участка в соответствии с проектом межевания территории или со схемой расположения: 1441
Земельный участок 1270 кв.м в Республике Башкортостан, Бакалинский район, село Бакалы, улица Пушкина. Участок из земель населенных пунктов с условным кадастровым номером 02:07:010245:ЗУ1, вид разрешенного использования: для индивидуального жилищного строительства. Площадь 1270 кв.м, вид разрешённого использования земельного участка: 2.0, площадь земельного участка в соответствии с проектом межевания территории или со схемой расположения: 1270.
Земельный участок 1104 кв.м, Республика Башкортостан, Бакалинский район, Бакалинский с/с, с. Бакалы, ул. Пушкина. Условный кадастровый номер 02:07:010245:ЗУ1. Вид разрешенного использования: для индивидуального жилищного строительства. Площадь земельного участка в соответствии с проектом межевания территории или со схемой расположения: 1104 кв.м.
Предоставление земельного участка 2411 м² Предварительное согласование предоставления земельного участка Вид разрешённого использования земельного участка 2 2 Площадь земельного участка в соответствии с проектом межевания территории или со схемой расположения 2411
Земельный участок 1500 м². Предварительное согласование предоставления земельного участка. Вид разрешённого использования земельного участка: 2.2. Площадь земельного участка в соответствии с проектом межевания территории или со схемой расположения: 1500.
Земельный участок 1000 м². Предварительное согласование предоставления земельного участка. Вид разрешённого использования земельного участка: 2.2. Площадь земельного участка в соответствии с проектом межевания территории или со схемой расположения: 1000
Земельный участок 1800 м² с предварительным согласованием предоставления. Вид разрешённого использования: 2.2. Площадь по проекту межевания территории: 1800 м².
Земельный участок 1064 м² Предварительное согласование предоставления земельного участка Вид разрешённого использования земельного участка: 2.2 Площадь земельного участка в соответствии с проектом межевания территории или со схемой расположения: 1064
Земельный участок 359082 кв.м Республика Башкортостан, Чекмагушевский район, Юмашевский сельсовет, кадастровый номер 02:51:000000:6453, вид разрешённого использования 1.0
Земельный участок 511 кв.м Баймак право на заключение договора аренды земельного участка (размер ежегодной арендной платы) Земельный участок категории земли населенных пунктов, с кадастровым номером 02:73:010728:715, общей площадью 511 кв.м., расположенного по адресу: Республика Башкортостан, Баймакский район, город Баймак, улица Ленина, дом 77а, с видом разрешенного использования: объекты дорожного сервиса Вид разрешённого использования земельного участка: 15.0 Регистрационный номер ЕГРОКН: КУВИ-001/2025-192268402
Земельный участок 1656 кв.м Башкортостан право на заключение договора аренды земельного участка (размер ежегодной арендной платы) Категория земли населенных пунктов, кадастровый номер 02:06:180301:265, общая площадь 1656 кв.м. Адрес: Республика Башкортостан, Баймакский район, сельское поселение Мерясовский сельсовет, деревня Бахтигареево, улица Таналык, дом 33. Вид разрешенного использования: ведение садоводство. Вид разрешённого использования земельного участка: 13.2 Регистрационный номер ЕГРОКН: КУВИ-001/2025-114608114
Земельный участок 13464 кв.м склады Башкортостан право на заключение договора аренды земельного участка (размер ежегодной арендной платы) Земельный участок категории земли населенных пунктов, с кадастровым номером 02:06:240302:622, общей площадью 13464 кв.м., расположенного по адресу: Республика Башкортостан, Баймакский район, село 2-е Иткулово, улица Лесная, с видом разрешенного использования: склады Вид разрешённого использования земельного участка: 6.0 Кадастровый номер земельного участка: 02:06:240302:622 Площадь земельного участка: 13464 Регистрационный номер ЕГРОКН: КУВИ-001/2025-135264917
Земельный участок 660 кв. м в Башкортостане с кадастровым номером 02:56:050109:7486. Участок из категории земель населенных пунктов, расположенный по адресу: Российская Федерация, Республика Башкортостан, г. Стерлитамак, площадью 660 кв. м, с разрешенным использованием – для индивидуального жилищного строительства. Вид разрешённого использования земельного участка: 2.0.
Земельный участок 733 кв. м. Республика Башкортостан, г. Стерлитамак, с кадастровым номером 02:56:050109:7487, из категории земель населенных пунктов, площадью 733 кв. м., с разрешенным использованием – для индивидуального жилищного строительства. Вид разрешённого использования земельного участка: 2.0
Земельный участок 3018 кв. м Уфа, расположенный по адресу: Республика Башкортостан, г Уфа, кадастровый номер: 02:55:030424:118 Вид разрешённого использования земельного участка: 4.9.1.4
Земельный участок 1441 кв.м Республика Башкортостан, Бакалинский район, Бакалинский с/с, с. Бакалы, ул. Пушкина, с условным кадастровым номером 02:07:010245:ЗУ1, из земель населенных пунктов с видом разрешенного использования: для индивидуального жилищного строительства. Вид разрешённого использования земельного участка: 2.0 Площадь земельного участка в соответствии с проектом межевания территории или со схемой расположения: 1441
Земельный участок 1270 кв.м в Республике Башкортостан, Бакалинский район, село Бакалы, улица Пушкина. Участок из земель населенных пунктов с условным кадастровым номером 02:07:010245:ЗУ1, вид разрешенного использования: для индивидуального жилищного строительства. Площадь 1270 кв.м, вид разрешённого использования земельного участка: 2.0, площадь земельного участка в соответствии с проектом межевания территории или со схемой расположения: 1270.
Земельный участок 1104 кв.м, Республика Башкортостан, Бакалинский район, Бакалинский с/с, с. Бакалы, ул. Пушкина. Условный кадастровый номер 02:07:010245:ЗУ1. Вид разрешенного использования: для индивидуального жилищного строительства. Площадь земельного участка в соответствии с проектом межевания территории или со схемой расположения: 1104 кв.м.